Huracán Melissa de categoría 5 golpea Jamaica con vientos de 280 km/h y lluvias devastadoras

 Huracán Melissa de categoría 5 golpea Jamaica con vientos de 280 km/h y lluvias devastadoras

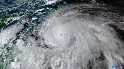
El huracán Melissa, clasificado como categoría 5 en la escala Saffir-Simpson, azota este martes la isla de Jamaica con vientos sostenidos de 280 kilómetros por hora, lluvias torrenciales y marejadas destructivas. De acuerdo con el Centro Nacional de Huracanes (NHC) de Estados Unidos, el fenómeno meteorológico mantiene su intensidad extrema y se prevé que toque tierra en las próximas horas.

El organismo detalló que el ciclón se encuentra a 90 kilómetros al sur-sureste de Negril, desplazándose hacia el noreste a una velocidad de 11 kilómetros por hora. Las estaciones meteorológicas de Kingston y Montego Bay ya reportan vientos superiores a 60 km/h y ráfagas de hasta 93 km/h, mientras un avión “Cazahuracanes” de la Fuerza Aérea estadounidense evalúa la magnitud del fenómeno.

El NHC mantiene alertas de huracán para toda Jamaica, así como para las provincias orientales de Cuba —Granma, Santiago de Cuba, Guantánamo y Holguín—, y para las Bahamas centrales y del sureste. Por su parte, Haití, Las Tunas y las islas Turcos y Caicos permanecen bajo aviso de tormenta tropical.

Las autoridades jamaicanas han exhortado a la población a refugiarse en lugares seguros, ante el riesgo de vientos devastadores que podrían causar fallos estructurales totales, sobre todo en zonas montañosas donde las ráfagas pueden ser hasta un 30% más intensas.

El huracán Melissa ha provocado acumulaciones de lluvia de entre 3.8 y 7.6 metros (15 a 30 pulgadas), con máximos de hasta 10 metros (40 pulgadas), lo que amenaza con inundaciones repentinas y deslizamientos de tierra generalizados en toda la isla. En el este de Cuba, se pronostican lluvias de hasta 6.3 metros (25 pulgadas), mientras que en el sureste de Bahamas y Turcos y Caicos se esperan entre 1.2 y 2.5 metros (5 a 10 pulgadas).

El ciclón también generará una marejada ciclónica de entre 2.7 y 4 metros en la costa sur de Jamaica, acompañada de olas grandes y destructivas, así como un incremento del nivel del mar en el sureste de Cuba, con alturas estimadas de entre 2.1 y 3.35 metros.

El Centro Nacional de Huracanes advirtió además que el fuerte oleaje provocado por Melissa afectará durante varios días a Haití, Jamaica, Cuba, las Islas Caimán, las Bahamas, Turcos y Caicos y Bermudas, generando condiciones marítimas peligrosas y corrientes de resaca que podrían prolongarse hasta el fin de semana.